Hotline
0913.040.789
Đối tác Topland cần bán lô đất tại mặt đường QL39A xã Kim Động, tỉnh Hưng Yên
Cơ hội hiếm có cho nhà đầu tư và doanh nghiệp muốn mua đất sản xuất tại Hưng Yên
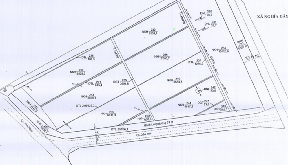
Diện tích lô đất 1 phân chia cụ thể:
Diện tích đất Công ty xin thuê là: 82914,6 m2. Gồm các loại đất:
Diện tích giao cho UB xã quản lý là: 126,9 m^2. Gồm các loại đất:
Diện tích đất (DNL) là: 126,9 m^2
Hình ảnh sơ đồ lô đất 1
Diện tích lô đất 2 phân chia cụ thể:
Diện tích đất Công ty xin thuê là: 146924,4 m2. Gồm các loại đất:
Diện tích giao cho UB xã quản lý là: 171,6 m2. Gồm các loại đất:
Diện tích đất (DGT) là: 171,6 m2

Hình ảnh sơ đồ lô đất 2
Lô đất sở hữu vị trí thuận lợi ngay trên trục Quốc lộ 39A, tuyến đường huyết mạch kết nối Hưng Yên – Hải Phòng. Khoảng cách cụ thể đến các khu vực lân cận:
Kết nối với các tuyến quốc lộ lớn:
------------------------------------------------
Dịch vụ của chúng tôi
Để hỗ trợ các nhà đầu tư và đối tác trong, ngoài nước, TOP LAND sẵn sàng cung cấp các dịch vụ xúc tiến đầu tư MIỄN PHÍ như:
Liên hệ:
Hotline: +84 913.040.789 - Di động: +84 913.040.789 (Mr.Tùng)
Địa chỉ: Số B6 Lô 2A KĐT 97 Bạch Đằng, Hạ Lý, Hồng Bàng, Hải Phòng
Website: www.sanbdscongnghiep.vn
- Từ khóa: đất dự án Kim Động; sang nhượng dự án nông nghiệp; đất khu sản xuất nông sản Hưng Yên; đất nông nghiệp; dự án nông nghiệp; đất khu sản xuất;...